Sex assignment can be very fluid in plants – with populations often consisting of a mix of females, males and hermaphrodites (plants with both functional sets of sex organs). The balance of sexes is believed to reflect environmental pressures – such as whether the population is isolated and the plants’ genetic make-up. Botanists have generally assumed that hermaphrodite plants are better fitted to survive under environmental stress and where there is a low number of plants. This is presumably because pollination is over shorter distances, and plants are less dependent on pollination vectors.
However, being a hermaphrodite actively discourages outbreeding (increasing the danger of ‘inbreeding depression’), and environmental stresses are believed to have lessened there are many instances where groups of hermaphrodite plants have evolved through time into single-sex individuals (technical term ‘dioecious’). A key question is how the balance of sexes is maintained in these dioecious populations when the environment begins to select against one sex or the other – leading to so-called ‘mate limitation’.

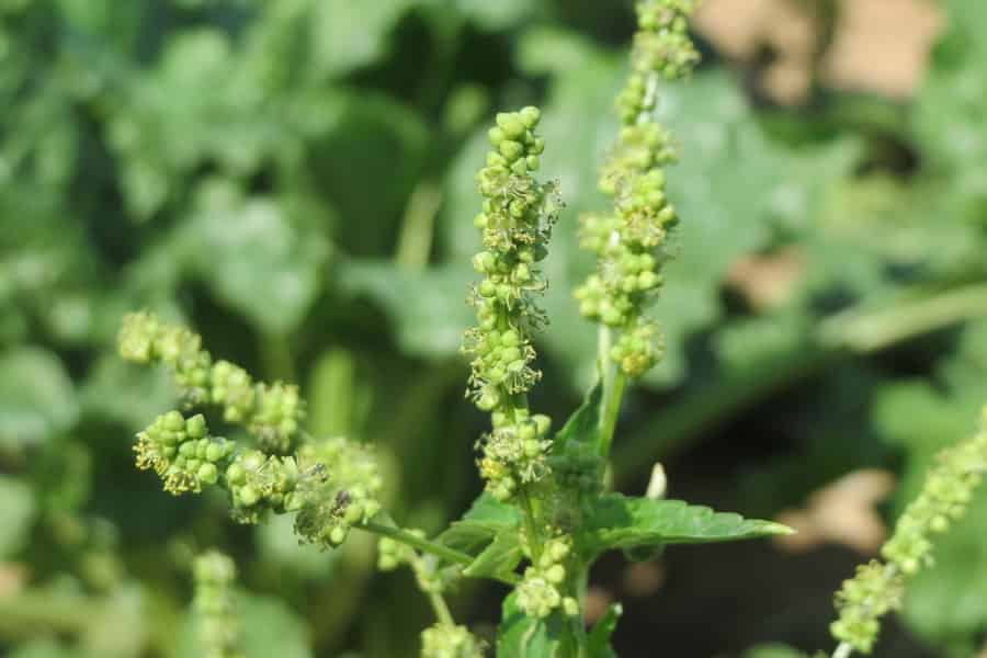
In a recently published paper in Current Biology, Guillaume Cossard and colleagues from John Pannell’s group in Lausanne describe how they carried out a complex and carefully-controlled controlled ‘experimental evolution’ experiment to address this question. They removed male plants from a carefully controlled population of dioecious Annual Mercury (Mercuralis annua) plants with a ‘standard’ 1:1 male:female balance and examined the consequences over four generations. To their surprise, large numbers of previously female plants began to develop male flowers. As mentioned above, this can happen very occasionally in normal populations, but in these experiments, 23× more female flowers behaved in this way. Also unexpected was the observation that the now bisexual plants not only developed the ability to self-fertilise but also increased seed set both in the absence of male plants and when male plants were reintroduced into the population.
Has this any relevance for real-world – rather than experimental – plant populations? Certainly, the evolution of this ‘functional hermaphroditism’ would be of strong adaptive advantage where gender balance becomes disrupted. Disruption could happen when plant density decreases during either colonisation or range expansion– or simply when individual plants are out of the pollination range of another member of the species. It may also explain the occurrence of ‘androdioecious’ populations in nature where male plants co-exist with hermaphrodites – suggesting that they may be derived from populations that have lost and subsequently gained male plants – but have generated hermaphrodites to ‘tide them over’ in the interim.
As with all good experiments, this work generates more questions than it answers – not the least being, is there a ‘pining signal’ that causes lonely female plants to start developing male flowers?
